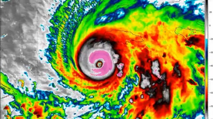
Melissa toca tierra en Jamaica; el huracán disminuye a categoría 4 y sigue a Cuba
28/10/2025 | Melissa alcanzó este martes por la mañana vientos de 295 kilómetros por hora. Autoridades señalaron que la región no cuenta con infraestructura que soporte la intensidad de este fenómeno