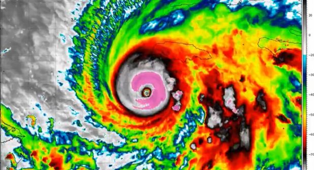
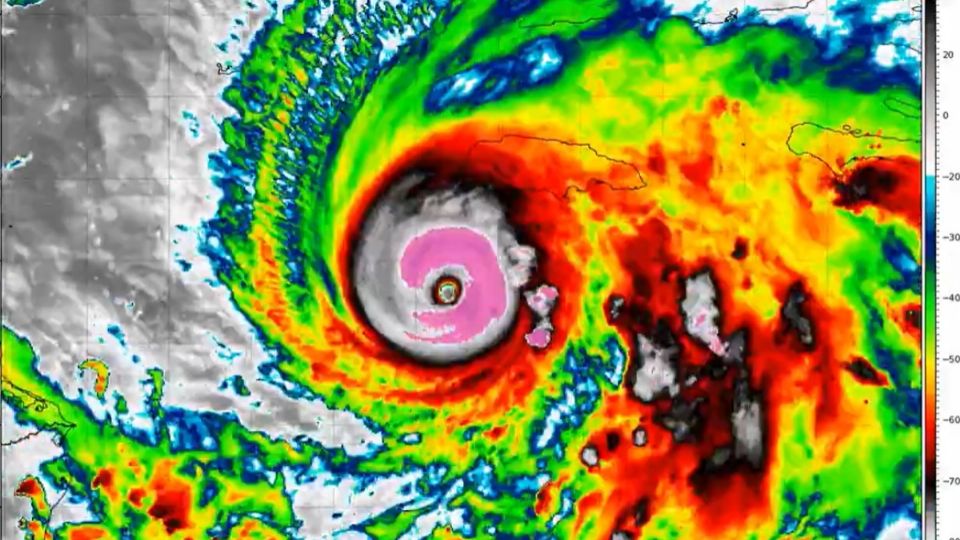
El huracán Melissa disminuyó a categoría 4, horas después de tocar tierra en Jamaica este miércoles 28 de octubre en categoría 5, sin embargo, mantiene su fuerza rumbo a Cuba. El fenómeno natural llegó con vientos catastróficos y lluvias torrenciales, el cual ha sido un evento meteorológico con más intensidad registrado en las últimas décadas.
Con base en información del Centro Nacional de Huracanes de Estados Unidos (NHC), por sus siglas en inglés, el centro de Melissa que alcanzó la máxima intensidad impactó de forma directa sobre la costa sur de la isla de Jamaica. Sus efectos devastadores provocarán inundaciones y marejadas ciclónicas “potencialmente mortales”.
Por su parte, la Federación Internacional de Sociedades de la Cruz Roja y la Media Luna Roja (IFRC) puntualizó que el impacto de Melissa podría afectar al menos a 1.5 millones de personas. El reporte de esta previsión fue hecho en Ginebra por Necephor Mghendi, jefe de la delegación de la IFRC para el Caribe anglófono y neerlandófono y advirtió que la cifra podría ser “una estimación a la baja”.
Te podría interesar
La Compañía de Servicios Públicos de Jamaica (JPS, en inglés) informó este martes de que cerca de 240,000 jamaicanos, alrededor del 35 % de los clientes, se encuentran sin servicio de energía eléctrica tras el impacto del huracán Melissa, de categoría 5, que tocó tierra en Parottee, en Saint Elizabeth (suroeste).
El presidente y director ejecutivo de la JPS, Hugh Grant, detalló que en los municipios de Saint Elizabeth, Manchester, Hanover y Saint James, se notificaron la mayor parte de los clientes sin servicio eléctrico.
El huracán Melissa de categoría 5 es el más fuerte que ha azotado a Jamaica en los últimos 174 años. Según el gobierno local, se informó que se hizo todo lo posible para prepararse ante este fonómeno natural, asimismo, hizo una advertencia sobre daños catastróficos, de acuerdo con N+.
En este sentido, autoridades destacaron que en la región no se cuenta con infraestructura que pueda resistir a la intensidad del huracán Melissa. “No hay infraestructura en la región que pueda soportar una categoría cinco”, afirmó el primer ministro, Andrew Holness.
En tanto, al corte de las 9:00 horas (tiempo de México) de este martes 28 de octubre, el huracán Melissa, de categoría 5 mantiene vientos sostenidos de 295 kilómetros por hora, ráfagas de 345 kilómetros por hora.
En este mismo tenor, el gobierno de Jamaica activó planes de emergencia, movilizó al ejército y autoridades locales para proteger a la población y garantizar suministros básicos, mientras que en Cuba seis provincias del oriente se encuentran en fase de alarma ante posibles inundaciones, deslaves y marejadas ciclónicas.
En redes sociales circula un video en el cual se aprecia cómo un miembro de la tripulación de la misión Teal 74 de la Fuerza Aérea de Estados Unidos logró captar el ojo del huracán Melissa durante su vuelo.
SRE pone a dispocisión canales de atención a mexicanos en Jamaica
Ante los efectos del huracán Melissa en Jamaica, la Secretaría de Relaciones Exteriores (SRE) recuerdó el número de emergencia y atención consular de la Embajada de México en Jamaica para las y los mexicanos que se encuentran en ese país del Caribe: +1 (876) 832-8711
"Recomendamos extremar precauciones y permanecer permanentemente en alerta de las notificaciones e instrucciones de cuidado y prevención de las autoridades locales", informó.
El huracán Melissa, actualmente de categoría 5 en la escala Saffir-Simpson, continuó su avance por el mar Caribe con vientos sostenidos de hasta 270 kilómetros por hora y desplazamiento lento este lunes 27 de octubre, de unos seis kilómetros por hora, según el Centro Nacional de Huracanes (NHC) de Estados Unidos.
Desde su formación como tormenta tropical el pasado martes, Melissa se ha convertido en uno de los fenómenos más poderosos de la actual temporada ciclónica, con un trayecto que amenaza directamente a Jamaica, Cuba y Bahamas, y que ya ha dejado daños en Haití y República Dominicana, además de efectos indirectos en Nicaragua y El Salvador.
TAMBIÉN LEE: Guerrero, dos años después de Otis y uno de John: la devastación que aún persiste
Jamaica: Preparativos ante el impacto directo del huracán
Jamaica se prepara para uno de los golpes más severos en los últimos años. El primer ministro Andrew Holness aseguró que el Gobierno cuenta con un plan de respuesta integral que contempla acciones de emergencia, reconstrucción y apoyo económico a las comunidades más afectadas.
El país ha movilizado a la Fuerza de Defensa de Jamaica (JDF), la Agencia Nacional de Obras Públicas (NWA) y la Autoridad de Gestión de Residuos Sólidos (NSWMA) para mantener despejadas las vías, asistir en la evacuación de zonas vulnerables y garantizar la distribución de suministros básicos. Además, el Ministerio de Trabajo y Seguridad Social, con apoyo del ejército, liderará las labores humanitarias tras el paso del huracán.
El Gobierno activó el Fondo Nacional para Riesgos de Desastres Naturales y el Fondo de Contingencia, que permitirán iniciar la reconstrucción inmediata. Holness pidió a la población mantener la calma y cumplir las instrucciones oficiales: “Aunque debemos prepararnos para lo peor, recemos también por lo mejor”, expresó en un mensaje televisado.
Las autoridades meteorológicas prevén precipitaciones acumuladas de entre 38 y 76 centímetros de lluvia, lo que podría causar inundaciones severas y deslizamientos de tierra en zonas montañosas y costeras. También se desplegaron equipos del Ministerio de Salud y Bienestar para implementar campañas de control de mosquitos y prevenir brotes de dengue tras las lluvias.
El impacto de Melissa en el Caribe
En Cuba, el Instituto de Meteorología (Insmet) pronostica que Melissa impactará la madrugada del miércoles por la costa suroriental, probablemente entre Santiago y Guantánamo, con fuertes marejadas, intensas precipitaciones e inundaciones costeras. El Estado Mayor de la Defensa Civil decretó la fase de alarma en las provincias del oriente cubano y de alerta ciclónica en Ciego de Ávila y Sancti Spíritus. Ante la inminencia del impacto, Naciones Unidas activó su mecanismo de Acción Anticipatoria para distribuir más de 100 toneladas de arroz y materiales de emergencia.
Mientras tanto, el Gobierno de Bahamas emitió una orden formal de evacuación en las islas del sureste —Inagua, Acklins, Crooked, Mayaguana y Ragged— ante la previsión de que el huracán afecte esa zona a partir del martes. El primer ministro Phillip Davis explicó que se coordina la reubicación de las personas en riesgo, la logística de transporte y la preparación de refugios, además de mantener comunicación constante con las autoridades locales. El NHC mantiene alertas de huracán para el sureste y centro del archipiélago, así como para las islas Turcas y Caicos.
En Haití, los efectos del huracán ya han dejado tres muertos, 16 heridos y más de 450 viviendas inundadas, según la Dirección de Protección Civil (DPC). Más de 2.000 personas han sido acogidas en escuelas y refugios temporales, informó Unicef, que distribuye ayuda financiera de emergencia y kits de salud para más de 20.000 personas. Las lluvias han provocado deslizamientos y cortes de carreteras, principalmente en la región sur del país, donde se concentran los daños más graves.
En la República Dominicana, donde más de un millón de personas permanecen sin acceso a agua potable, las autoridades mantienen la alerta ante lluvias “significativas” que continuarán en los próximos días. De acuerdo con el Centro de Operaciones de Emergencias (COE), 3.785 personas siguen desplazadas y 737 viviendas resultaron dañadas, además de afectaciones en carreteras y puentes.
Los efectos de Melissa también se han sentido de forma indirecta en Nicaragua y El Salvador. En el primero, el Instituto Nicaragüense de Estudios Territoriales (Ineter) pidió precaución a las embarcaciones del Caribe por mal tiempo y abundante humedad que generará lluvias en los próximos días. En El Salvador, Protección Civil levantó la alerta verde tras confirmar que el huracán ya no influirá en el territorio, aunque se esperan vientos del norte moderados durante la semana.
Con información de Efe
djh
