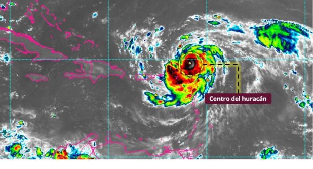
El huracán "Erin" se intensificó este sábado hasta alcanzar la categoría 5 en la escala Saffir-Simpson. Registra vientos máximos sostenidos cercanos a los 255 km/h. En un lapso de nueve horas, los vientos aumentaron desde 160 hasta 257 km/h.
Durante la mañana del sábado, el centro del huracán se ubicó a unos 170 km al noreste de Anguila y a 375 km de Puerto Rico. El sistema continúa su desplazamiento hacia el oeste a una velocidad de 28 km/h.
El ciclón se formó como tormenta tropical el lunes anterior y se convirtió en huracán el viernes. Representa el primer huracán de la temporada 2025 en el Atlántico, tras la aparición de Andrea, Barry, Chantal y Dexter. Su presión central mínima descendió a 917 milibares.
Te podría interesar
Trayectoria y posibles impactos
El Centro Nacional de Huracanes de Estados Unidos indicó que no se prevé que el vórtice del huracán toque tierra directamente. Se proyecta que su centro pasará al norte de las Islas de Sotavento Septentrionales, las Islas Vírgenes y Puerto Rico durante el fin de semana. Se espera un giro hacia el norte a principios de la próxima semana.
Las bandas externas del sistema provocarán lluvias en esas islas, con acumulaciones entre 50 y 100 mm, y máximos aislados de hasta 150 mm. Estas precipitaciones podrían generar inundaciones repentinas, urbanas, deslaves y flujos de lodo.
Te podría interesar
El oleaje generado afectará a las Antillas Menores, las Islas Vírgenes, Puerto Rico, La Española y Turcas y Caicos. Durante los próximos días, también alcanzará a Bahamas, Bermudas y la costa este de Estados Unidos, con resacas y corrientes peligrosas.
Acciones de prevención y vigilancia
Las autoridades instaron a la población de las regiones mencionadas a mantenerse informada. En Puerto Rico, el gobierno federal movilizó a más de 200 personas de la Agencia Federal para el Manejo de Emergencias (FEMA) y otras dependencias. Emitieron una alerta de inundación desde el viernes por la noche hasta el lunes.
Se inspeccionaron 367 refugios en la isla. La Guardia Costera cerró seis puertos en Puerto Rico y dos en las Islas Vírgenes. En Bahamas, también se prepararon refugios para recibir población en zonas de riesgo.
Los meteorólogos prevén que la temporada de huracanes en el Atlántico de 2025 mantendrá una actividad por encima del promedio, con entre seis y diez huracanes, de los cuales entre tres y cinco podrían alcanzar categoría 3 o superior.
Condiciones meteorológicas en México
El Servicio Meteorológico Nacional de México reportó lluvias fuertes a muy fuertes en el noroeste, centro, sur y sureste del país, debido a la interacción del monzón mexicano con varios sistemas atmosféricos. Se pronosticaron chubascos en Baja California Sur y lluvias asociadas a las ondas tropicales 22 y 23.
Las precipitaciones más intensas (50 a 75 mm) se concentran en Chihuahua, Durango, Nayarit, Jalisco, Oaxaca y Chiapas. Se registran lluvias fuertes (25 a 50 mm) en al menos 14 estados, incluyendo Sonora, Michoacán, Guerrero y Veracruz.
Chubascos (5 a 25 mm) están presentes en otras regiones del país, incluyendo el altiplano y el Valle de México. Todas las lluvias pueden acompañarse de descargas eléctricas y caída de granizo. Estas condiciones podrían causar deslaves, crecidas de ríos y encharcamientos.
ÚNETE A NUESTRO CANAL DE WHATSAPP. EL PODER DE LA INFORMACIÓN EN LA PALMA DE TU MANO
SÍGUENOS EN EL SHOWCASE DE GOOGLE NEWS
Temperaturas y viento
Las temperaturas máximas superan los 45?°C en el noreste de Baja California. Otras regiones presentan valores de 40 a 45?°C y de 35 a 40?°C, principalmente en zonas del norte, Pacífico y península de Yucatán.
Se pronostican vientos de 20 a 30 km/h, con rachas de 40 a 60 km/h en varias entidades. Estas rachas podrían generar tolvaneras y caída de árboles o anuncios.
En el Valle de México, se espera cielo nublado, temperaturas entre 12 y 25?°C, lluvias fuertes en el Estado de México y chubascos en la capital. Las condiciones incluyen niebla matutina, descargas eléctricas y granizo en zonas de tormenta.
